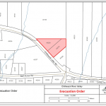
列治文前十名最貴房產新晉3成員 有一戶估值從16萬元飆至1100萬!
【星岛综合报道】2026年列治文估价最高的房产榜单新增三处宅邸,且所有房产的价值均相较于2025年有大幅增加,其中排名第二高的房产,仅1年时间就暴涨了逾61倍。
据区报《列治文新闻》(Richmond News)报道,新一年列治文10处估价最高的房产,再一次全部落在了农业用土地保留区(Agricultural Land Reserve,ALR)内。
根据最新的卑诗物业估价局(BC Assessment)估价报告,列治文最贵的房产价值,在一年之间暴增了3倍之多。
位于西敏公路(Westminster Highway)14791号的房产,是一处占地35英亩(约11公顷)、拥有一栋8,700平方呎房屋的物业,其2026年的评估价值高达1,175万元。
而在2025年,其估价还不到300万元。该房产位于绿茵高尔夫球场(Green Acres Golf Course)南侧,6号路以西。
估价排名第二高的房产位于甘比路(Cambie Rd.)15631号,就在7号路以西,其土地价值从2025年的约16.3万元,飙升至今年的高于1,000万元,涨幅高达惊人的61倍多。
而位于帕尔姆伯格路(Palmberg Rd.)10591号的物业,其土地价值今年亦大幅上升。去年,该地块的估价为18,228元,今年则高达390万元。
● 相关新闻:大温区物业普遍缩水一成 Lululemon创始人豪宅年跌920万元
● 相关新闻:2026卑诗业主自住补助金门槛207.5万元,合资格者可减多少税?
● 相关新闻:卑诗物业估价出炉 低陆平原普遍下跌 以这儿跌幅最大⋯⋯
由于非耕种用途的地产,有可能会失去其农业用地属性,从而大幅提高其估价。
卑诗物业估价局已完成2026年的房产评估工作,评估结果将邮寄给业主。
以下是列治文市2026年估值最高的10处房产:
1. 14791 WESTMINSTER HWY RICHMOND(上图)
估值:11,750,000
2. 15631 CAMBIE...
大溫區物業普遍縮水一成 Lululemon創始人豪宅年跌920萬元
【星岛综合报道】根据卑诗物业估价局(BC Assessment)的数据显示,亿万富翁、Lululemon创始人威尔逊(Chip Wilson)位于基茨兰奴(Kitsilano)的豪宅(图)仍然是卑诗省最值钱的物业,尽管今年的估值比去年下降了约900万元。
卑诗物业估价局于周五(2日)发布了最新的全省房产评估数据,其中包括卑诗省500套最值钱住宅的年度名单。
威尔逊占地近15,700平方呎(约14,500平方米)的滨水豪宅再次位居榜首,2026年的评估价值为7345.7万加元。这栋位于格雷岬路(Point Grey Rd. ) 3085号、拥有7间卧室和9间卫浴的豪宅,在2025年的评估价值为8266.4万元。
【相关新闻】卑诗物业估价出炉 低陆平原普遍下跌 以这儿跌幅最大⋯⋯
该机构数据显示,威尔逊的房产价值下跌了920万元,降幅约为11%,这一降幅比大多数大温哥华地区屋主在2026年所经历的降幅更为显著。
评估员穆劳(Bryan Murao)在周五发布的公告中表示,今年大温哥华地区的房产价值普遍下降了0%至10%。
穆劳说:“房地产市场的疲软反映在了2026年的房产评估中。大温哥华地区的许多房主预计其房产评估价值会有所下降。”
卑诗省评估局的数据显示,大温哥华地区的房产总价值从2025年的约2.01兆加元下降到2026年的约1.92兆加元。
在全省范围内,该机构评估了超过220万处房产,总价值超过2.75兆加元。在全部房产中,约有91%的房产至少有一部分被评估为住宅。
跻身前十名的房产还包括与威尔逊的住宅一样,卑诗省第二贵的房产也保持了其排名,但其价值在2026年有所下降。
这栋位于温哥华贝尔蒙特大道(Belmont Ave) 4707号的豪宅拥有10间卧室和16间浴室,今年的估价为6987.8万元,低于2025年的7173.9万元。
排名第三的是詹姆斯岛(James Island),这是位于中央萨尼治海岸附近的770英亩私人岛屿,也是前十名中唯一一处位于低陆平原以外的房产。其今年的估价为5709.6万元。
温哥华贝尔蒙特大道上的其他4处房产也进入了前十名,此外还有威尔逊在格雷岬路的一位邻居、布兰卡街(Blanca St)北端的一栋豪宅,以及西温哥华的一处海滨住宅。
(图:Google Earth)
V11
2026卑詩業主自住補助金門檻207.5萬元,合資格者可減多少稅?
【星岛讯】卑诗省2026年住宅物业的业主自住补助金 (homeowner grant) 门槛设定为207.5万元,为合资格业主提供适度的物业税减免。
卑诗省府周五(2日)发布新闻稿表示,业主自住补助金基本补助金额维持不变:
位于省会区域 (Capital Regional District)、菲沙河谷区域 (Fraser Valley Regional District) 及大温区域 (Metro Vancouver Regional District) 的物业,最高可获570元补助。
上述地区以外的物业,最高可获770元补助。
至于长者、退伍军人及有残疾的人士,或与残疾亲属同住的人士,可能符合资格申请额外补助,补助总额为:
省会区域、菲沙河谷区域及大温区域,最高可获845元。
上述地区以外,最高可获1,045元。
省府资料显示,2025年有近50万名长者及超过1.9万名有残疾的人士受惠于这项额外支援。
【相关新闻】卑诗物业估价出炉 低陆平原普遍下跌 以这儿跌幅最大⋯⋯
省府表示,要符合资格,该物业必须为业主的自住居所 (principal residence)。业主必须自行申请补助。业主可于税务年度内任何时间提交申请。
最佳申请时间是5月,即在收到物业税通知后,并须于通常为7月的物业税到期前完成申请。
若于物业税到期日后才申请业主自住补助金,原本由补助支付的未缴税款部分,可能会被征收逾期罚款。
最快捷及最方便的申请方式为透过卑诗省政府网站进行网上申请。申请者亦可亲身前往卑诗服务处 (ServiceBC) 服务中心,或致电1-888-355-2700申请。
此外,符合以下条件的业主亦可能合资格申请卑诗省的《延缴物业税计划》(Property Tax...
卑詩物業估價出爐 低陸平原普遍下跌 以這兒跌幅最大⋯⋯
【星岛综合报道】卑诗物业估价局(BC Assessment)最新数据出炉,低陆平原的房产价值下降,而省北部地区的独立屋价格普遍上涨。
据《温哥华太阳报》(Vancouver Sun)报道,卑诗物业估价局估价师穆劳(Bryan Murao)表示:“低陆平原的许多房主可以预期房产估价会有所下降,大多数变化幅度介乎-10%到0%之间。”并指“房地产市场疲软的趋势,已反映在2026年的房产估值中。”
整体而言,低陆平原所有物业的总价值,已从2024年7月1日的2.01兆元,跌至2025年7月1日的1.92兆元。这意味着卑诗省所有房产的总价值下降了900亿元。
低陆平原包括大温哥华地区和菲沙河谷,以及海天公路沿线地区和阳光海岸。
独立屋以白石镇跌幅最大
就本地区独立屋而言,在2024年7月1日至2025年7月1日期间,价格跌幅最大的是白石镇,跌幅达9%,平均价格降至158万元。
在面积较小且房价昂贵的卑大保留地(University Endowment Lands)社区、兰里市及列治文的独立屋平均都下跌了8%。
素里的独立屋价格下跌6%,平均价格为146.4万元;温哥华的独立屋价格下跌5%,平均价格为209.2万元。
威斯勒和贺普(Hope)的独立屋价格保持不变,而史夸米殊(Squamish)的价格则出现了2%的上涨,成为一个例外。
柏文价格方面,素里的平均价格下跌了7%,列治文和白石镇下跌了6%。温哥华平均下跌了3%,至77.2万元。
● 相关新闻:因山崩风险二接疏散令 卑诗这些房屋现在只值两元
● 相关新闻:最新卑诗物业估价出炉 Michael Bublé本拿比豪宅涨了6.2%
大温地产经纪协会(Greater Vancouver Realtors)的多重放盘系统(MLS)月报显示,自从最新评估数据计算以来,大温哥华地区物业的综合基准价格已累计下跌了3.2%。
省北中部某些地区涨幅高达15%
穆劳表示,省北中部地区的独立屋价值上升,在某些社区涨幅甚至高达15%,这些地区占全省土地面积的70%。
圣詹士堡(Fort St James)的独立屋均价上涨了14%,达到24.4万元;Hazelton上涨了10%;乔治王子城(Prince George)均价上涨了2%,达到45.9万元;鲁拔太子市(Prince Rupert)涨了3%。
温哥华岛和南部内陆地区的房价涨跌幅在-5%到+5%之间。
在温哥华岛,维多利亚的独立屋价值上涨了1%,而中部岛屿地区,如Ladysmith、高域湖(Lake Cowichan)、邓肯(Duncan)和帕克斯维尔(Parksville)等地,均小幅上涨,涨幅在2%至4%之间。
在南部内陆地区,哥伦比亚(Columbia)地区的独立屋业主也获得了一些收益,其中Fernie和Kimberley上涨了6%,Sparwood上涨了9%。
尼尔逊市(Nelson)的独立屋业主均价上涨3%,Castlegar则没有变动。
穆劳指出,遭受火灾重创的利顿镇房屋估价上涨了30%。
“利顿的情况比较特殊,该镇透过灾后重建工作,房价持续快速成长,”他说。
温市中心柏文据称下跌10%
温哥华房地产评论员兼地产经纪萨雷茨基(Steve Saretsky)表示,低陆平原和卑诗省北部地区房价变化差异,可能是由于滞后效应造成的。
“城市总是最先变化的,无论是上涨还是下跌,郊区都会紧随其后,”他说。
据萨雷茨基观察,温哥华市中心的柏文市场在过去一年下跌了10%。他也表示,温哥华房价较高的西区房产价格也下跌了10%。
RE/MAX发布的《2026年大温哥华地区房屋市场展望》预测,今年房价还将持续下跌,并指出“现时温哥华的地产投资者几乎绝迹。”
卑诗地产协会(BCRealEstateAssociation,简称BCREA)预测,2026年房价成长将是“有限”的。
萨雷茨基表示,卑诗房地产已连续4年低迷,而市场调整通常会持续5年。
欲了解最新的房产评估详情,可登入卑诗物业估价局的的线上评估查询服务(bcassessment.ca)取得。
图:加通社
V6
屹立華埠64年日升市場掛牌放售 溫哥華東區憂再無實惠雜貨店
【星岛综合报道】温哥华历史最悠久的家族式独立杂货店之一日升市场(Sunrise Market)已正式挂牌出售,这引起了居民、社区团体和倡导者的担忧,他们担心市中心东区及整个城市未来能否继续提供价格实惠的杂货店。
日升市场位于华埠鲍威尔街(Powell St),即与歌雅街(Gore Ave)和交叉口东南角,距离奥本海默公园(Oppenheimer Park)仅一个街区之遥。这家位于原日本城区域的街角商店,自1961年以来一直是市中心东区乃至整个华埠地区的标志性店铺;2026年,它将迎来在此经营65周年纪念。
根据苏富比国际地产公司(Sotheby’s International Realty)最新发布的房源信息,待售的是该企业(而非房产),要价450万元。
根据卑诗估价局2024年7月的评估报告,该房产价值397.3万元,其中212.8万元来自9,539平方呎的土地价值,184.5万元来自建于1964年的7,300平方呎的零售建筑(带屋顶停车场)的价值。
该物业的描述如下:“这家深受社区信赖的店舖拥有庞大的忠实客户群,全年销售额稳定,并以其卓越的品牌和服务赢得了良好的口碑。店铺位于人流密集的黄金地段,视野开阔,停车位充足。此次出售包含所有设备、固定装置和运输费用,并为新业主提供顺利的交接支持。”
日升市场一直以其价格实惠的农产品、肉类和日常杂货而备受青睐,在食品价格和整体生活成本持续上涨的城市里,它常常被顾客誉为最经济实惠的选择之一。市场毗邻华埠和温市中心东区,使其成为低收入和欠发达社区居民获取新鲜食品的重要管道。
这家店最初于20世纪50年代开业,距离现在的位置只有半个街区,之后于1961年搬迁到现在的街角位置。这家店具有深厚的文化意义,是加拿大华人商业史上的先驱成功案例,它曾是日升豆品(Sunrise Soya Foods)的长期零售店,几十年前,如今享誉全国的日升豆腐就是在这家店的后厨生产的。
过去一周,社群媒体上关于这家超市挂牌出售的消息迅速引发了网路和当地扶贫人士的关注。有些人警告说,如果日升市场在易主后关闭,可能会使社区失去最后一家独立平价食品店。一些活动人士甚至呼吁政府收购该超市,将其改造成类似公立社区中心、学校和医院的“公有食品市场”。
由于该超市是近期才挂牌出售的,目前尚未公开任何潜在买家的信息,也不清楚在新东家接手后,该超市是否会继续作为杂货店运营。
根据网站上介绍,在1950年代初,日升豆品创辨人Leslie Joe和妻子Susan从中国大陆移民到加拿大。他们发现温哥华的华人社区对豆腐很有需求,于是在1956年,Leslie Joe便开始在他的杂货店后面制造及批发小量鲜制豆腐、而创辨了日升豆品。随着需求增加,消费者健康饮食意识增长,日升的豆腐制作规模在60和70年代继续扩大。日升豆品很快建立了一群忠实的拥护者,而Leslie Joe的杂货店“日升市场”,亦因出售新鲜的农产品而深受顾客爱戴,成为今日温哥华的著名地标。
现时的日升豆品生产工场于1983年购入,共有5000平方呎。在1985年,日升豆品的密封式包装产品第一次在加拿大西部的连锁超市出售。在90年代,由于日升的产品系列不断扩展,日升的工厂和仓库面积也随之扩充至35,000平方英呎。在1999年,日升成为首家最先承诺只使用非基因改造黄豆的豆腐生产商。为满足日益增长的北美市场,新的制造工场于2000年在多伦多成立;因应消费者急速增长的需求,日升阵容持续扩大,引进有机豆腐产品Soyganic系列及中华品牌的传统豆腐种类。
从一人经营的小店铺,摇身一变成为雇用超过200名员工、全加拿大最大的豆腐生产商,日升豆品在这些年来经历了不少变化,但始终没有改变的是日升的企业运作方针和日升对社会的承诺。尽管公司的成功,创办人的儿子,即现任行政主席Peter Joe,在他十多岁时曾在日升市场后面的工场当生产工人,他现在仍然沿用小企业的运作原则来经营这个家族企业。Leslie Joe在50年代的温哥华唐人街拉着一桶一桶的豆腐时,应没有想到他在缔造的是一个真实的加拿大人成功的故事。
(图:Google Maps、Sotheby’s International Realty、日升豆品官网)
V11
【一文掌握】加拿大人將於2026年增加哪些聯邦福利?
【星岛综合报道】随着新一年来临,加拿大人可望从渥太华获得更多补贴。根据联邦政府自2018年起实施的通胀指数调整政策,部分联邦政府福利和退税额将逐年增加。
2026年,根据消费者价格指数(CPI),这些补贴将增加2%。
以下是一些增加的福利和退税额:
● 渥太华每年会在1月、4月、7月和10月发放货劳税/合并销售税(GST/HST)退税,以帮助加拿大人收回部分日常用品所支付的销售税。在2026-2027福利年度,单身成年人的最高退税额将增加至544元。夫妇最高可获得712元,加上每个孩子可额外获得187元。
这项退税额的福利年度是按当年7月至翌年6月计算,因此你的增加额将于7月生效,具体取决于你今年的报税表。本福利年度还有两次付款,分别在1月和4月。
● 加拿大儿童福利(Canada Child Benefit, CCB),俗称“牛奶金”,是一项每月发放的免税补助,旨在帮助父母和监护人支付抚养子女的费用。补助金额依家庭收入、父母或监护人照顾的儿童人数及其年龄而定。自2026年7月起,CCB的最高年度补助额将增加至每名6岁以下儿童8,157元,6至17岁儿童6,883元。与今年的金额相比,分别增加了160元和135元。新的金额相当于6岁以下儿童每月最高可领取679.75元,6岁以上儿童每月最高可领取573.58元。这些新标准将于7月生效,首笔月度付款将于2026年7月20日到账。
● 加拿大儿童伤障福利(Child Disability Benefit,CDB)是一项免税补助,每月发放给抚养18岁以下患有严重、长期伤障儿童的家庭。在2026-27福利年度,每位符合资格的儿童最高可领取3,480元,高于今年的3,411元。这意味着每位符合资格的儿童每月最高可领取290元。这些变更将于7月新福利年度开始时生效。更新后的金额将根据你2025年的报税表,显示在2026年7月20日收到的CDB月度付款中。
● 相关新闻:联邦推行自动报税 550万低收入合资格者可自动获福利
● 相关新闻:CRA疫期福利100亿元给错人 当局追讨升级开始用这些手段
● 加拿大工人福利金(Canada Workers Benefit,CWB)是一项可退还的税务抵免,旨在支持低收入的加拿大人。(不可退还的税收抵免只能将你的税款减至零,而可退还的税收抵免则会全额支付。)CWB与报税年度挂钩,因此2026年的增幅实际上反映了去年的通胀增幅2.7%。
在2026年,无子女单身人士的最高福利金为1,665元,高于2025年的1,633元。家庭的最高福利金为2,869元,比2025年的2,813元增加了56元。符合伤障税收抵免资格的加拿大人,可获得的最高CWB伤障补助金将增加17元,从843元增至860元。
● 加拿大伤障津贴(Canada Disability Benefit)是一项新的月度补助金,于2025年7月推出,旨在为伤障的劳动年龄成年人提供支援。加拿大伤障津贴适用于18至64岁,且已获准领取伤障税收抵免的加拿大人,金额取决于收入。目前,最高年度津贴为2,400元,即每月200元。与其他福利金一样,该津贴也会在福利年度结束后于每年7月上调。假设涨幅为2%,2026-27年度的最高津贴约为每年2,448元,即每月204元。依新标准发放的首笔津贴将于2026年7月20日到账。
● 加拿大退休金计划(Canada Pension Plan,简称CPP)是一项按月发放的应税福利。福利金金额取决于你在职期间的缴款额、缴款年限以及开始领取的时间。一旦符合资格,你会终生收到付款。CPP福利金每年1月都会根据通胀率进行调整。加拿大服务局(Service Canada)已宣布,2026年的付款将根据CPI增加2%。
● 老年保障金(OAS)是加拿大服务局为65岁及以上的加拿大人提供的月度退休金。与其他退休金计划(例如CPP)不同,领取OAS的资格与工作经验无关。OAS每年审核4次——分别在1月、4月、7月和10月——并按需要作出调整,以应付通胀。
图:加通社
V6
加拿大2026年樓市前景如何 繞不開這三大因素
【星岛综合报道】地产代理行Royal LePage总裁指,在经历了一年的经济不稳定、移民水平变化,以及联邦政府新领导层更迭之后,加拿大住房市场在2026年进入了一个更加平衡但仍不均衡的状态,但仍受关税、移民变化及柏文市场疲软影响。
据BNN Bloomberg报道,Royal LePage总裁索珀(Phil Soper,下图)指出,在其他传统壁垒有所放松之下,贸易不确定性,尤其是关税问题,已成为2025年阻碍房屋市场活动的最大单一因素。
索珀在接受BNN Bloomberg采访时表示:“利率已经从准入壁垒,转变为中性甚至有利。”
他指出,本国就业情况比预期强,大多数经济基本面都指向更活跃的房屋市场。“然而,当你去问消费者‘你们感觉如何?有甚么事令你困扰?’则如果不是在做汽车或住房等重大决策,那么他们最关心的就是贸易问题。”
贸易虽拖累房价 大部分地区仍保持韧性
索珀说,虽然难以量化,但贸易问题造成的拖累可能令房价下跌约2%到4%。即使如此,他表示,加拿大大部分地区的房价依然保持了韧性。
根据Royal LePage周二(30日)发布的《2026年市场调查预测》,全国整体住宅价格将于2026年第四季按年上升1%左右,达到约82.3万元。
他表示,“即使在多伦多和温哥华这样房价最高的城市,房价也表现得相当稳健,”并指出,此次经济放缓主要影响的是交易活跃度,而非价格。
● 相关新闻:AI辅助研究预测温哥华7年后房价令人吃惊
● 相关新闻:楼市有多冷?温西超豪宅邸4年5挂牌 叫价节节下滑跌破行情价
索珀表示,这两大主要市场因需求低迷而供应健康,导致价格微跌——这与其他地区房价保持稳定或略有上涨形成对比。
至于2026年,预测显示,大多伦多地区和温哥华地区的平均房价预计将分别下跌4.5%和3.5%。
索珀指出,人口变化也对市场格局产生了重要影响,尤其是在柏文市场。
据称,因为移民数量有所下降,包括临时外劳和国际学生人数减少,已对城市柏文市场造成了最严重的冲击。
“个人投资者提供了本国大城市出租屋的主要来源。在疫情后通胀飙升期间,利率或按揭利率达到峰值,这使得小型投资者投资租赁柏文变得不划算,”他说。
索珀解释道,虽然预计2024年和2025年的利率下降会令市场回暖,但反弹并未完全实现。
“很大一部分原因是,随着(移民)配额大幅减少,他们的客户和租户也随之消失了,”索珀说。
2026年展望
展望2026年,Royal LePage预测,2026年第四季,柏文价格将按年下跌2.5%,至563,918元。
索珀以多伦多和温哥华为例,指这两个城市的柏文价格疲软趋势可能会持续,这主要是由于供应过剩和投资者需求疲软所致。同时,全国其他地区的柏文价格预计将小幅上涨。
他表示,这一趋势反映了疫情后房地产市场热潮过后开始的长期“压缩”趋势,房价较为亲民,加拿大房价最高的市场逐渐降温。
“过去十年间出现的巨大差距正在逐渐回复正常,”他说。
索珀表示,目前房价变动仍低于5%的长期年均水平,房屋挂售比(sales to active ratio)显示,买卖双方都没有绝对优势。他认为,这对首次购屋的年轻家庭来说是一个“更有利”的环境。
“他们可以在交易中附加条件,而且房价也比较温和,无论是在我们房价最高的城市的郊区,还是城区。”
政府的参与也将是塑造未来发展的一个关键因素。索珀指出,具体进展取决于市级、省级和联邦各级政府的协调,以及将政策转化为实际建设和供应量成长。
“全国大部分地区的各级政府话说得都很漂亮,”他说,“最终效果如何,还要看执行情况。”
图:加通社
V6
【獨家】自己間屋疑變風月場 萬錦業主伙街坊連月來向多個部門求助無果 (二之二)
【星岛独家报道】万锦于人村一间独立屋的业主投诉女租客用物业作无牌经营场所,深夜人车频繁出入,上址并多次发生抢劫报案事件,社区居民饱受滋扰。居民曾递交联名信请省议员介入,又分别向万锦市政府、市议员、约克区警队和消防投诉,但多月求助至今无结果。《星岛新闻网》记由今年9月开始,接触了上述多个部门及多名的三级议员,探求解决问题的方法,作出专题报道。
约克区警方于12月29日回复《星岛新闻网》查询有关上址劫案时证实,警方透露上址曾多次发生多宗不寻常的抢劫报案事件。警方藉《星岛》提醒公众,自2025年11月10日至12月13日期间,曾发生四宗涉及受害人透过网上平台或社群团体安排作外币交易,并在会面时遭抢劫的案件。
万锦于人村一间出租的独立屋爆出涉及社区治安的争议。涉事业主及多名邻居指,一名女租客自2024年底连月来在深夜频繁接待陌生人出入独立屋,怀疑单位沦为“色情场所”,因而衍生噪音、垃圾及治安隐忧,居民多次向市府及多方投诉未果,案件更因LTB裁决出现反转,引发街坊不满。
相关报道:
【独家】万锦民宅被指经营风月场 无签租约女住客斥房东诬陷逼迁 LTB裁定女子可续租 (二之一)
居民面对深夜派对滋扰 社区安全成隐忧
受访邻居为隐藏身份,以化名陈先生之名到《星岛》编辑部接受访问时向记者指出,该间涉嫌经营夜场的独立屋车道较长、路边空间宽敞,成为“深夜聚会”车辆集结地点,邻居指2024年10月至2025年3月的高峰期,每逢周四至周六晚间,通常有多至8辆10停辆汽车停泊路边,该独立屋会每晚招呼逾20至30名男性。
邻居陈先生称,“2024年10月到2025年年初特别热闹,整条路都停满车,从晚上9至10点钟开始,到清早6点才会走”。又指“金女士买啤酒都是一次买上千瓶,放到地库”。根据业主提供的保安录影,单位多次于深夜至清晨六时前有可疑车辆出入,甚至在大雪天也有妙龄女子拖行李进屋。
金女士近日接受《星岛》访问时指自己喜欢广交朋友,经常招呼大伙来开派对,并无不法活动。(星岛记者摄)
王姓业主强调,金女士过往亦坚称只是招呼朋友“来玩”,并无不法行为。金女士亦对《星岛》记者表示,自己喜欢和朋友聚会,所以经常会有很多朋友出入。
【一】求助LTB:裁决无签租约都是租客 业主收楼受阻
王姓业主指控租客有“违法行为”曾向LTB申请驱逐租客。初期LTB裁定签署租约的两名男租客须迁出,业主可收回房屋,当时两名男租客因租约已满亦已迁出,但LTB其后认定还有一名未签租约的金女士在事件中为“事实租客”,早前驱逐令未将她列入租客名单,导致她于2025年3月3日被驱逐,属程序被滥用的严重错误。2025年6月,LTB裁定推翻该驱逐令,金女士于9月再度取回独立屋钥匙,反而业主遭颁令逐离。
眼见LTB无法合法驱逐租客,业主及社区居民先后向万锦市政府、市议员及约克区警方、消防投诉女租客非法经营及滋扰社区行为,并曾联名去信省议员彭锦威求助,但多月来问题未见实质解决。业主之女向《星岛》形容,“感觉我们就像一个球,一直被推来推去”。
【二】求助约克区警方:人口贩卖罪入罪门槛高 建议业主如感不安可“搬走”
王姓业主及邻居陈先生表示,过去一年间曾多次向约克区警方投诉独立屋内怀疑涉及非法活动,惟他们指警方回复称,若涉及人口贩卖等严重罪行,入罪门槛高,目前未有足够证据采取行动,只能作记录。
租客金女士接受《星岛》访问时反斥业主,指控罪名为“莫须有”。她对记者哭诉称,“打劫”之说纯属“瞎说八道”,是房东造谣,诬陷她。
她又指多次报警事件都是房东故意捏造事实、制造舆论,目的是驱逐她们孤儿寡母(金女士及同住仍在读小学的11岁儿子)。
约克区警方于12月29日回复《星岛》查询上址两宗抢劫案时表示,警方有留意到上址曾多次发生不寻常的抢劫报案事件。警方指出,近期共有四宗相关案件发生,因此发出一份《有关私人外币交易抢劫案激增的公众警示》,提醒公众自2025年11月10日至12月13日期间,曾发生多达四宗涉及受害人透过网上平台或社群团体安排的外币交易,并在会面时遭抢劫的报案。警方表示,四宗案件的嫌犯特征相似,案件可能存在关联。
此外,约克区警方今年9月也曾回复《星岛》时称,若业主怀疑物业内有非法活动,应随时联络警方报案;同时提醒,若业主未采取措施防范非法活动,也可能面临刑事责任。警方指出,住宅物业的驱逐程序需透过安省业主与租客仲裁委员会(LTB)处理,商业物业则需透过法院,过程可能较长;如涉及住宅物业的财务补偿,可透过LTB或民事法院申请解决。
警方亦提醒,噪音投诉可视情况向警方或市府附例执法部门提出;垃圾处理则由市政管理部门负责。如事件发生于共管公寓,应同时通知物业管理公司及管理委员会。警方强调,任何涉及刑事问题的情况,应立即报警。
王姓业主之女儿向《星岛》表示,警方曾建议她,如感到人身不安全,可考虑采取多项措施,其中首选是“搬走”。
【三】求助省议员:居民联署反映“安全隐患” 小童走过街道要人护送
12名万锦社区居民曾签署一份《社区居民联名请愿信》给省议员彭锦威向他求助,信中指控该名金姓女租客在同时租住万锦两个隔街相邻独立屋期间,对社区造成多项滋扰及安全威胁。居民陈先生指,该单位多次于深夜举行“派对”,大量陌生人聚集,性感打扮的女子乘搭Uber频繁进出,多数停留数小时后离开,疑似进行违规行为。
居民亦投诉该单位车库内堆满啤酒瓶及垃圾、臭味浓烈,并滋生鼠患。他们指控金女未依规定分类处理垃圾,常直接堆放车道旁,甚至有妙龄女子深夜将大垃圾袋弃置在邻居门口,街坊见过透明垃圾袋内明显可见有多个使用过的安全套。
业主及邻居亦曾向万锦-于人村省议员彭锦威请愿。彭锦威议员办公室回复强调,问题属约克区警方专责范畴,任何可疑或具威胁性的情况应立即向警方举报。
彭锦威省议员回复《星岛》查询时亦表示,居民应先行报警,对于案件细节,由于涉及私隐,他无法透露更多信息。
另一名受访化名为叶女士的邻居则对《星岛》表示,早前一名外籍男子疑似上门“交易”时找错地址,误闯相邻独立屋,令业主大为震惊,该男子“敲门后直接闯入屋”,该名独居的香港移民女业主开门后遇人闯入,因惊恐导致手脚颤抖,事后由亲属协助安装闭路电视镜头加强保安。
邻居叶女士又指,如有小童来访,必须由成年人亲自护送走过上址,避免发生意外。“邻居的女儿晚上回家,我们都要一路护送,步程只有一百步都不敢松懈。因为来的人不是涉黄就是涉毒,怕孩子被撞到。”邻居表示,深夜噪音扰民情况严重,影响日常生活,“有邻居夫妇几晚都没办法睡觉,半夜车声不断。”
【四】求助万锦市府:市府无投诉纪录 消防多次到场却无法入屋调查
万锦市政府早前回复《星岛》查询指,若业主怀疑单位内有不法行为,应立即报警,由约克区警方跟进。市府同时表示,政府资讯系统内目前并无任何该单位涉及商业或非法活动的投诉纪录。
惟邻居陈先生向《星岛》表示,自己曾就该单位涉嫌非法经营“夜场”向市府书面投诉,但一名附例执法女官员回复,称如无实质证据,相关怀疑仅属主观臆测,因此市府不会跟进。之后,邻居又就“多人挤住”(rooming house)造成滋扰问题向市府投诉,并将投诉抄送给约克区警队。陈先生说警方回复称,警方的人口贩卖部门正高度关注该单位。
此外,亦有街坊向市府投诉垃圾弃置、深夜噪音及违规泊车问题。居民称,市府部门认为由于缺乏即时证据,多以“未观察到违规”或“已完成调查”作覆,未有进一步行动。
业主王女士称,市府曾联络租户金女士调查噪音问题,但发现沟通困难,且投诉人提交的影片缺乏关键信息,最终以“不会采取行动”作结。
【五】求助消防:租客不理睬 投诉不了了之
邻居陈先生在这批租客造成社区困扰时,邻居已开始透过电邮及电话向市政府投诉调查“多人挤住”及防火情况,而市府亦以电邮及电话回复,最终确认会由消防部门处理这社区风险。但未见成效。
业主指,消防于2025年2月份金女士仍住在独立屋时发出检查房屋通知书,惟业主到3月收楼时才见到通知书原封未开,相信消防部门也没有作出检查。之后业主联洛消防约定时间,安排入屋检查,惟当时租客已迁出独立屋。
邻居亦指出,自3月至4月期间,多次见到消防车停泊在金女士实际居住的“新居所”门口,消防人员尝试敲门入屋检查,但始终无人应门,行动最终被迫不了了之。
【六】求助市议员:事件属警方专责 议员仅可促请执法
业主亦致信万锦市议员Reid McAlpine求助,该议员称已将事件提请约克区第五区警司Chirag Bhatt注意。
市议员Reid McAlpine 回复《星岛》查询时指,他担任市议员7年,从未遇过类似非法经营情况。他表示,可行做法是由消防处在有合理怀疑下进行消防安全检查,例如单位内有违反消防条例的违规装修。消防人员毋须搜查令即可入内检查,若发现可疑情况,可通知警方或市府执法人员跟进,但消防部门无权介入驱逐租客程序或处理非法活动。
市议员强调,业主报警是正确做法,若警方认为有足够证据证明单位涉及非法活动,可自行向法院申请搜查令,决定权完全属警方,市政府及民选议员无权要求警方采取行动。
最新结局:未有结局.....
当前,有邻居亦对《星岛》指出,金女士新居住之阰邻独立屋仍有不少深夜访客,惟人数相比过往动辄逾二三十人有所减少,邻居指“他们大概在凌晨12点至2点到达,早上6点前会离开,一个晚上起码有4、5辆车来”。居民及业主忧虑深夜“违法勾当”持续,但并无部门可采取有效的执法行动。
(图:星岛记者摄、被访者提供) T01
【獨家】萬錦民宅被指經營風月場 無簽租約女住客斥房東誣陷逼遷 LTB裁定女子可續租 (二之一)
【星岛独家报道】万锦于人村一间独立屋业主指自己间屋怀疑被租客经营风月场所,业主其后试图透过安省业主与租客仲裁委员会(LTB)驱逐租客。案件发展曲折,LTB曾一度裁定签署租约的2名男租客须迁出,后来发现还有一名没签租约的女子应同属租客,所以准许她搬回居所继续租住,反而颁令驱逐业主。
王姓女业主(下图左)及一名邻居向加拿大《星岛新闻网》指出,自2024年10月起,她作为业主在于人村这间独立屋怀疑沦为“色情场所”,每逢周末深夜,屋外总泊有七、八架私家车,经常会有二、三十名男访客轮流入屋,往往到清晨五、六时才陆续离开。这位邻居和业主都说,他们曾多次向警方投诉该屋住客深夜嘈吵滋扰,并多次向市府及议员求助,但无法改善情况。
涉事女租客金女士(上图右)稍早前接受《星岛新闻网》采访时强调,“经营色情场所”指控是指虚乌有的事,并称自己“这辈子都没有受过这种指控的侮辱”。金女士说,早在2022年11月租约生效时,已预先缴付两个月租金,并押下三个月不得抵租的按金予房东保管,合共近两万元现金一直掌握在业主夫妇手中,她指业主见她经济能力不俗,意图赶她走“好捞一笔”。
房客装修地库犹如派对房 自用或商用?双方各执一词
2024年10月,适逢租约届满两年,业主得悉原本签租约的两名男租客均已搬离,单位内仅余金女士与其儿子实际居住。其后在邻居投诉及自身巡查下发现,独立屋在金女士租住下疑似沦为色情场所,业主遂决意收回物业,并向 LTB 入纸申请取回单位。
业主当时曾入到自己的出租屋时,发现独立屋地库被大幅改造成宛如“派对房”的夜场格局:多座位长条沙发、骰子、大量啤酒瓶散落四周,墙身更贴满疑属易燃的隔音棉。业主怀疑金女在单位内从事非法营业;但金女被质问时坚称,一切只是“招呼朋友来玩”,与非法活动无关。
金女士接受《星岛》访问时则表示,自己擅长室内设计及装修布置,地库布局全由她亲身设计,都是用来自娱和招呼朋友所用。
业主循LTB申请合法驱逐 最终动用法警执行
LTB最初裁定,所有租客须于2024年11月30日前迁出。然而,金女士拒绝离开,业主唯有申请法警介入。2025年3月3日,在法警到场见证下,金女士与儿子最终在不情愿下搬离。王姓业主向《星岛》忆述,当日法警一度被金女士拒绝入屋,期间双方僵持约三小时后,法警才获准进入。法警其后要求金女士于 10 分钟内收拾贵重物品,其余个人物品则可在三日内陆续取走。
然而,金女士向《星岛》反指,驱逐当日她曾被多人“非法禁锢”约三小时,其间有人指鼻喝骂,当众指控她从事非法活动,形容过程极度羞辱。她称事件令其身心受创,至今仍惊魂未定,并需持续接受心理治疗。
金女士搬走后,业主入屋检视时称发现单位多处受损:房间玻璃门现多道裂痕、天花及墙身有剥落痕迹、墙上多个孔洞、木门疑被硬物劈开、木地板亦出现明显裂缝;车库内堆满大量杂物,更发现至少65箱约1,500支啤酒瓶。部分房间亦遗留多件性感内衣及约200个未开封安全套。业主其后把上述物品整理成证物,并于2025年5月一并提交至LTB。
金女则强烈否认所有指控,斥责业主蓄意栽赃,试图制造她在单位内从事非法勾当的外间印象。
自2025年3月遭驱逐后,金女士搬到相邻另一间独立屋居住,两屋步程仅半分钟之隔。新住处于今年1月曾连续发生两宗入屋爆窃案。两名邻居亦向《星岛》透露,业主出租独立屋以往有的深夜聚会现时已转移阵地至金女现居单位。
LTB改判金女士属“事实租客” 指驱逐程序被滥用
业主原以为成功驱逐金女后,租务纠纷总算落幕,自己的物业亦不会再被用作怀疑色情场所。不料金女不满被驱逐,于2025年4月7日反将业主告至LTB,要求暂停执行驱逐令。4月10日,LTB发出临时命令,阻止进一步驱逐,判金女士保有居住权。
业主一方马上于5月寻求LTB推翻此决定,并提出包括金女“无固定收入”、单位疑从事非法经营等理由,但LTB全数否决。
6月24日,LTB裁定指金女士有权搬回涉事单位,不受驱逐令限制,而业主则必须即时迁出物业。裁判官解释,虽然金女并非原租约签署人,但她曾直接向业主缴付租金,构成“事实租客”身份,有权继续留住该屋。
2025年6月24日,LTB裁定金女士有权搬回涉事单位,而业主则须即时迁出物业。(摄自LTB裁决书)
LTB认为,金女士作为租客已属既成事实,而去年底的驱逐命令却未将金女士列入租客名单,最终导致她于3月3日遭驱逐,属“驱逐程序被(业主)滥用”的严重错误。
其后,金女士随即向法警申请强制执行LTB命令,要取回门匙,自2025年9月9日起,业主正式被赶离自己的物业。
代表业主的地产经纪Danny Shan向《星岛》表示,为配合法庭命令,他已于9月8日将大门、车库及后园钥匙全数交回予金女,并提醒对方需要开始缴租、购买家居保险及办理水电煤气过户手续。惟业主指,金女至今仍未改名,令所有相关费用继续由业主承担。
租金“谁欠谁”成争议 LTB今裁定金女欠租逾 2.6 万
现时金女士已重新取得涉事独立屋钥匙逾6个月,但她对星岛记者指一直没有搬回去居住。业主则坚称,金女士一直拖欠租金未有支付。
金女士接受《星岛》访问时重申,自己从事期货投资,收入稳定,并非外界所指“可疑租客”。她亦声称,2025年9月曾以现金方式缴付约三千多元租金,但“没有留下收条”。业主则反驳,单位自2024年12月起从未收到任何租金。
LTB 聆讯金女士中途离席 最终裁定欠租近半年
业主一方早前入禀 LTB,追讨金女自2024年12月至2025年3月3日期间,以及2025年9月9日至2025年11月的租金。案件于11月27日线上开庭聆讯。
LTB 首先派出调解员进行调解。期间,金女士声称自己在2025年9月已把租金交给业主的中介Danny,惟中介在庭上否认曾收过款项。调解员其后询问金女是否有任何交租的证据,例如银行提款纪录,但金女回应指自己多年来习惯以现金交租,没有留下纪录。其后,金女突然下线,会议被逼中断,金女之后再无返回。最终,LTB 裁定金女欠租近6个月,以每月租金 4,600 元计,需向业主偿还逾 26,000元。
现时金女士仍然拥有独立屋的居住权,但半年下来却没有返回去居住,却住在半分钟步程的“朋友”家中。无论租住权谁属,业主的物业无法收租已逾一年,而收回物业的日子更是遥遥无期。这宗收屋罗生门事件,仍然未得到解决。
相关文章:
【独家】自己间屋疑变风月场 万锦业主伙街坊连月来向多个部门求助无果 (二之二)
(图:星岛记者摄、被访者提供) T01
全球最難負擔生活城市 加國佔一席 亞洲熱門旅遊勝地居首
【星岛综合报道】国际旅游及生活媒体 Time Out在向全球超过100个城市共1.8万人做过调查后,公布了2025年生活成本最昂贵的城市排行榜,南韩首尔高踞榜首。加拿大温哥华排行14,在北美排行第2。
调查询问当地居民对一系列生活费用是否感到难以负担,从购买一杯咖啡到晚上外出消遣等,遍及文化、夜生活、艺术、饮食、社区面貌和本地特色等多个范畴,从而作出综合分析,列出15个最难以负担当地生活的城市。
1. 南韩首尔
2. 土耳其伊斯坦堡
3. 挪威奥斯陆
4. 瑞典斯德哥尔摩
5. 日本京都
6. 希腊雅典
7. 澳洲悉尼
8. 纽西兰奥克兰
9. 德国慕尼黑
10.澳洲布里斯班
11. 美国洛杉矶
12. 新加坡
13. 英国伦敦
14. 加拿大温哥华
15. 美国迈阿密
Time Out也列出了15个居民最容易负担生活的城市:
1. 哥伦比亚麦德林
2. 哥伦比亚波哥大
3. 中国北京
4. 美国纽奥良
5. 意大利那不勒斯
6. 越南河内
7....
因山崩風險二接疏散令 卑詩這些房屋現在只值兩元
【星岛综合报道】由于2021年大气河流带来的风暴加剧了山崩风险,芝里华克河谷(Chilliwack River Valley)的两处房产被认为不适合居住,并于上周稍晚因同样的原因被勒令疏散。
该疏散令于周二仍然有效。
跟Postmedia报道,本月初,强降雨引发了芝里华克湖路(Chilliwack Lake Road)两处房产上方陡峭山上的土石滑坡,加剧了该房产面临的风险。
但屋主们不禁疑惑,既然他们已经不住在这些房屋里了,那么疏散令的目的又是什么呢?
由于省府决定不提供灾害援助或收购房屋,这些房主仍在遭受损失。目前,省府房产评估员已将这些房屋估价为仅2元。
【相关新闻】存山崩风险!菲沙河谷这选区有两户接撤离令
【相关新闻】卑诗洪水一夕暴涨毁坏桥梁 搜救队漏夜营救孤岛上5人4犬
鉴于目前的处境,房主兰珀萨德(Chris Rampersad)和沃肯廷(Erv Warkentin)表示,他们不知道该如何看待疏散令,也不知道如果再次发生山体滑坡,政府的灾害援助会受到怎样的影响。
“现在这么恐慌,还发布疏散令,到底是怎么回事?是为了公众吗?还是为了以防万一道路被堵住,自己可以免责?要知道,那些房产的所有者一一我们早就知道风险了。”兰珀萨德说。
菲沙河谷区域局(Fraser Valley Regional District)官员在书面回复中表示,发布疏散令是因为如果有人留在这些房产内,将面临迫在眉睫的生命安全风险。
区域通讯经理派珀(Samantha Piper)在一封电邮中表示,奇芝里华克湖路目前没有迫在眉睫的威胁。
派珀说:“目前边坡不稳定问题仅限于这两处房产。然而,菲沙河谷区域局仍在持续监测因本次(天气)事件导致的土壤饱和而引发的滑坡风险升高。”
省政府表示,2021年大气河流事件后,这两处房产发生的小型滑坡并未对房屋造成损坏,因此他们不符合获得援助的条件。
但联邦政府今年稍早修改了灾害援助资金规则,规定在特定情况下,即使房屋本身没有遭受物理损坏,但由于山体滑坡风险增加而不再适宜居住,也可以获得援助。在重大灾害中,联邦资金会拨付给省政府。
针对Postmedia的提问,卑诗省政府官员表示,联邦政府近期的政策调整将有助于制定新的省级法规。
但鉴于近期发生的山体滑坡,官员们并未说明这是否会影响对芝里华克湖路沿线房产的援助决定。
“我们将继续与联邦和市政府合作伙伴携手,探讨如何将土地征用进一步纳入地方政府的风险降低工作中。”紧急管理部门公共事务官员苏尔比(Sharma Surbhi)在一封电邮中表示。
兰珀萨德表示,看到自己的房产再次发生山体滑坡,他感到非常痛心,这让他再次感到沮丧,因为他一直无法获得任何经济援助。
他仍在偿还一套已被认定为毫无价值房屋的按揭,而且有人告诉他,这种风险无法消除。
根据Postmedia先前报道,虽然该省过去曾收购过芝里华克河谷存在山崩风险的房产,但现在已不再愿意这样做。
兰珀萨德了解联邦政府的政策变化,但他表示,上次他曾相信省政府会提供协助,但最终未能如愿。
“这让我们一次又一次地感到沮丧。”他说。
这两位房主周末查看了他们的房产,他们也会不时地这样做。
沃肯廷表示,他原本以为会看到一些警示标志,例如闪著灯的卡车或警示牌,但什么都没有。
沃肯廷说:“我问兰珀萨德,‘如果这些地方已被判定为危房,他们为什么要疏散我们?’”
周五,地区政府聘请的岩土工程师进行现场考察后发现,在与2021年滑坡不同的区域发生了一宗山体滑坡,这次滑坡已经到达了兰珀萨德房产后方的遮阳篷。
由BGC工程公司进行的评估发现,滑坡底部直径约4米,高约1.3米。滑坡长度约60至70米,并导致树木倒塌。现场勘察拍摄的照片显示,泥浆被推至遮阳篷处。报告指出,房屋上方陡坡上还有其他扰动,包括渗漏点和近乎垂直的裸露黏土和淤泥层,高度约0.5米至一米。
报告指出:“目前尚不清楚该滑坡层的意义或重要性,但它也可能被解释为更大规模深层滑坡的顶部。”
BGC工程公司的结论是,在评估时,如果该房屋有人居住,则存在迫在眉睫的生命安全风险。
Statlu Environmental Consulting于2021年12月编写的一份早期报告指出,兰珀萨德和沃肯廷房产上方的山坡可能已经变形数十年,但极端潮湿的天气使大规模滑坡的可能性增加了20倍。
报告指出,发生大规模山崩并非是否会发生的问题,而是何时发生的问题,未来10年内发生的机率高达65%至89%。报告称,滑坡宽度约100米,将摧毁兰珀萨德和沃肯廷两处房产的所有建筑物,造成人员伤亡,随后滑坡体将横穿芝里华克湖路,并在数米厚的碎石下完全堵塞道路。
加拿大公共安全部表示,根据新规,增加的山崩风险必须与符合新计划规定的灾害直接相关,例如2021年的大气河流事件,才能获得灾害援助资金。
联邦政府表示,如果该省寻求透过风险降低措施、房屋收购或搬迁来应对风险,这些费用可能符合联邦政府灾害财政援助计划的报销条件。
(图:Facebook)
V11
擁有美國房產的加拿大人 出售物業需付出不菲代價
【星岛综合报道】星岛网稍早时报道,同样以温哥华243.3万加元的住宅基准价到美国买房,美国的房子明显又大又好,但有专家指出,对于在美国拥有房产的加拿大人来说,出售房产却需要付出不小代价。
据《金融邮报》(Financial Post)报道,加拿大人曾经对去美国买房度假充满热情,但当美国总统考虑让加拿大成为美国的第51州,以及贸易战持续一年之久,在美国拥有房产的加拿大人若于此时当美国楼市降温时将其出售,心里确实很挣扎。
此时售房时机不佳
以渥太华的办公室租赁代表大卫·普里德姆(David Pridham)为例,他就对出售位于佛州Vero Beach附近的半独立式住宅感到十分纠结。
“我们是次贷危机期间在那里买房的,”普里德姆谈到2008年购房时说道,当时正值破产事件频发,房价暴跌,尽管离退休还有好几年,他仍无法拒绝如此良机。
● 相关新闻:以温哥华一套标准住宅的价格 在美国能买到甚么房子?
●相关新闻:加拿大雪鸟族过美国边境亲历新规实施 烦心事一箩筐
普里德姆每年都会和家人去他的度假屋住几次,但他并未打算出租,因为他觉得每年2.1万美元的持有成本是值得的,因为房产一直在升值。
如今,他刚退休,今年把这套房子挂牌出售。虽有人出价,却比要价低3%,而且成交速度很快,他毫不犹豫地接受了。
“我们当时准备降价,因为市场行情不好,”普里德姆说。他补充道,一些来自美国南部的冒犯性言论也促使他放弃了这套位置便利的度假屋。他说,“我们在这里住了15年,认识了很多人,而且驱车过来只需24小时,中途订两晚酒店就得。”
实际财务问题也在推动决策
除了政治因素外,加拿大雪鸟协会发言人拉奇科夫斯基(Evan Rachkovsky)也表示,他的会员中有越来越多的人开始考虑租房,因为如今的实际财务问题也在推动决策。“我认为情况要复杂得多。成本更高,尤其是在佛州,因为飓风和其他自然灾害频繁。此外,还要应对汇率波动,这些因素都在起作用,真是雪上加霜。”
Homes.com首席住宅经济学家凯斯(Brad Case)表示,如果你正在出售第二套房产,那么你已经错过了市场高峰期。
佛州房地产经纪人协会最新数据显示,截至第三季度,全州柏文或城市屋的销售中位数,价格较去年同期下降了5.8%,至305,998美元。
据称,美国阳光地带的房价在新冠疫情期间大幅上涨,目前正趋于缓和。
需求推高了价格,但供应激增导致价格跌至负值。凯斯表示,阳光地带一些市场的租金已在下降,Apartments.com的数据显示,佛罗里达州的平均月租金为1,678美元,比一年前下降了0.4%。
在卑诗省生活了几十年的加州房地产经纪人林德(Jaimee Linder)表示,一些加拿大人正在转向租房。她正在帮助的一对夫妇已做出租房决定,“他们打算两年后重新评估”。
在美国未报税后果可能很严重
与加拿大一样,买卖房产也会产生费用,包括佣金,根据所在地区的不同,你可能还需要缴纳相当于土地转让税的税金。
根据Clever Real Estate的一项研究,2024年美国房地产经纪人的平均佣金为5.57%,约20,092美元。
买卖双方除了佣金之外,还有其他交易费用。该公司表示,全美卖家除佣金之外,平均还要承担2.72%的交易费用,而买家的费用则在3%到5%之间。
佛州注册会计师塞尔宾斯基(Mark Serbinkski)表示,这涉及税务问题。如果你出售的房产价格超过30万美元,或买家不打算自住,则需向美国国税局(IRS)提交相关文件。
除了25%的联邦预扣税外,一些地区可能还会征收州税。相当于土地转让费的是产权印花税,至于由谁缴纳,则取决于合约约定和所在地区。
“我认为现在有点像买方市场。市场仍然有点疲软,”塞尔宾斯基说。他建议加拿大人可以出租自己的房子,这需要提交一份美国报税表,记录收入和支出。“如果有任何剩余税款(或欠税),你可以在加拿大申请外国税收抵免。”
一个关键区别在于会计处理和资产折旧方式。
塞尔宾斯基指出,“所有文书工作都不算繁琐,”并强调提交这些文件至关重要。“IRS的主要职责并非征税,而是罚款。在加拿大,人们常常忽视申报义务。但在美国,后果可能非常严重。”
更重要的是,无论是主要住所还是第二套住房,买卖房产都非常昂贵。因此,拉奇科夫斯基表示,他的团队总是建议人们在新地区先租再买。
同样的道理也适用于卖房。由于交易成本,搬家会造成财富损耗。如果你已彻底告别美国,那就卖掉它,别再费心择时了。
而如果你现在虽对美国的生活并不热衷,但将来还可能回来,那么将其出租也是值得考虑的选择。
图:GETTY IMAGES
V6
加國三孩之父候診8小時離世 馬斯克轟醫療系統如車管所
【星岛综合报道】亚省爱民顿一位44岁的三孩父亲在医院急症室等待8小时之后过世,科技大亨马斯克猛烈抨击了加拿大的医疗保健系统,指与车管局一样差。
据Postmedia报道,马斯克周五(26日)在社交媒体X上的贴文中写道:“政府提供的医疗服务,与加州车管局(DMV)一样差。”同时配以一段影片,影片中,死者妻子讲述了丈夫去世的过程。
When the government does medical care, it is about as good as the DMV https://t.co/kRdlL3idyF
— Elon Musk (@elonmusk) December 26, 2025
根据Global News报道,斯里库马(Prashant Sreekuma,下图)于本周一(12月22日)在工作时感到胸痛,随后被送往爱民顿东南部的格雷修女医院(Grey Nuns...
以溫哥華一套標準住宅的價格 在美國能買到甚麼房子?
【星岛综合报道】卑诗省与美国华盛顿州比邻而居,不少加拿大人因为各种原因搬到了美国,那么,以温哥华住宅基准价格在美国能买到甚么样的房子呢?
以目前的汇率计算,温哥华住宅基准价格243.3万加元约为176.5万美元。
以下是温哥华基准价格的住宅与美国同价房子的比较实例:
星岛网从售房网站REW上搜寻到一套叫价约240万的房源,它是一套位于温哥华市中心耶鲁镇的柏文(上图),总共2间卧室,3间卫浴,室内面积1,332平方呎。据称可欣赏到史丹利公园和狮门大桥的景色。
● 比较一
就在边境另一侧,甚至可能就在通勤范围内,华盛顿州贝灵汉(Bellingham)郊外的一栋大型住宅。该宅房屋面积5,500平方呎(约510平方米),占地14.77英亩(约6.4公顷)的土地,这意味着户外空间绰绰有余。
住宅特色包括多功能运动场(可用于网球、篮球等)、可停放4辆车的超大车库和一个池塘。
重点是,该屋价格与温哥华243.3万加元的住宅基准价相当。
虽然温哥华是世界上房价最高的城市之一,但美国有一些城市也与此不相上下,其中三藩市和纽约尤为突出。
● 相关新闻:大温哥华10月楼销年减14.3% 基准房价较9月微跌
● 相关新闻:大温哥华无壳蜗牛称 恐怕一生都无法负担买房
想在三藩市和纽约,找到与温哥华住宅基准价相同价位的独栋住宅虽非易事,但并非没有选择。
例如,在三藩市,这套售价175万美元的房子(上图左)位于市中心,是一间简单的两房一卫浴住宅。虽然面积不大,但别具特色。
在纽约,这栋位于布鲁克林区售价176.7万美元的房子(上图右),价格与三藩市那套相若,但面积更大一些,拥有3间卧室和4间浴室,房源资讯特别指出这栋房子有私人车道。
● 比较二
这栋位于美国新罕布什尔州(New Hampshire)的房子售价175万美元,拥有4间卧室、7间浴室和6,550平方呎的居住空间。它还拥有环绕式门廊和环绕式露台,提供了额外的户外空间。开车不远即可到达滑雪胜地。
想要更大的房子?不妨考虑一下位于科罗多州(Colorado)洛矶山脉(Rockies)山麓附近,面积超过7,800平方呎的房子(上图左),价格也差不多。除了6间卧室,还有一间书房、一间标准餐厅和一个带阶梯式座椅的家庭剧院。
更大的选择有8,100平方呎,位于风景如画阿拉巴马州(Alabama)的一栋大宅(上图右),它坐拥库萨河畔(Coosa River)的一段河岸线。售价同样是175万美元。
这栋房子还配备了室外地下游泳池、码头和撞球室。
● 比较三
维吉尼亚州还有一栋真正的大房子,售价也是175万美元。房屋面积16,000平方呎,占地100英亩。这栋房子有10间卧室、9间浴室和3个厨房,严格来说算是独栋住宅,但更像是小型旅馆。
如果你不只看重面积,还有其他选择。
在德州Corpus Christie附近的海滨小镇“海滨之城”(City By The Sea),有一栋房子,拥有游泳池和通往大海的运河码头。这栋3,200平方呎(约290平方公尺)的房子有4间卧室和4间浴室,售价175万美元。
说到海滨,在佛罗里达州,距离海湖庄园(Mar-a-Lago)仅几个小时车程的地方也有一栋房子,它可以俯瞰印第安河(实际上更像是潟湖),至于这处房产售价,没错还是175万美元。
房源资讯上写道:“(它)位于距SpaceX、NASA和Blue Origin公司10英里(约16公里)范围内。你可以在自家后院欣赏创造历史和美国的伟大成就!”
在远离水边的圣塔菲老城区(Santa Fe),有一栋售价同样是175万美元的独特住宅(上图),它融合了许多新墨西哥州设计元素,拥有3间卧室和3间浴室。
现在,你应该明白,为甚么会有许多加拿大人跑到美国置业了吧?
图:REW/Zillow
V6
樹木倒塌砸中溫哥華民宅 社區擔憂出人命風險高
【星岛综合报道】周一(22日)深夜,一棵橡树倒塌砸中温哥华市一幢房屋,引发了当地社区对公共安全的担忧。
温哥华公园局在电邮声明中表示,这宗事件由恶劣天气造成,目前尚无人员伤亡报告。
工作人员于周二使用起重机移走了倒塌的树木。
【相关新闻】半夜突发轰然巨响 华裔民宅房间遭大树压毁
附近邻居卡梅伦(Barbara Cameron)表示,位于东7大道和那乃磨街(Nanaimo St)附近的这片社区,长期以来一直担心这些树木过于高大。
她说:“就生长的空间而言,它们实在太大了。”
她希望公园管理处的工作人员能更频繁地修剪树木。
“我觉得这些树木没有得到应有的照顾。坦白说,我认为这对居民来说是个风险。”
她说,这宗事故给附近居民带来了压力。“你知道,这事很严重,可能会有人因此丧命。”
公园局说,这棵树“没有任何外在迹象或症状表明它有倒塌的风险”。
公园局表示其市府林业团队每年都会对温哥华所有行道树进行检查,以确定哪些树木需要优先修剪。
委员会称:“这条街上的几棵树在这次树木倒塌之前就已经计划修剪,它们将在未来几周内进行修剪。”
(图:星岛读者提供)
V02
加拿大或將放開外國人購屋禁令 住房部長罕見鬆口:正研議澳洲經驗
【星岛综合报道】一项曾被视为“不可触碰”的房地产政策,正悄悄出现松动迹象。
近日,加拿大住房及基础设施部长罗品信(Gregor Robertson)接受彭博社(Bloomberg)采访时确认,联邦政府正考虑在现行禁令到期后,重新评估外国人参与加拿大住房市场的方式。按照目前的时间表,外国买家购屋禁令将维持至2026年底,但2027年后的政策方向,则不再是“板上钉钉”。
这是自禁令实施以来,联邦层级释放出最清晰的讯号之一。
罗品信表示,政府接下来一年将系统研究其他国家的做法,尤其是澳洲在限制外国买家购买二手房屋、但允许其投资新建住宅和开发用地方面的经验。他强调,加拿大需要认真思考,海外资本在本国住房体系中究竟该扮演什么角色。
这位住房部长的表态,也被外界视为政策风向变化的重要标志。
他并未否认外国资本的存在,而是一再强调一个前提——住房必须先是为加拿大人建造、为加拿大人服务的。但同时,他也承认,一些国家在“有限引入外资、专门投向新建住房或出租型住宅”方面,已经进行了更灵活的探索。
换句话说,完全封堵,未必是唯一选项。
加拿大自2023年起实施外国买家购屋禁令,禁止多数外国投资者购买非度假用途住宅。这项政策推出的背景,是疫情期间超低利率推动房价快速飙升,住房可负担性问题集中爆发。
【相关新闻】卑诗建筑业日子难熬 吁联邦和省府修改外国买家购房禁令
随后,政府对法规进行技术性调整,允许外国资本参与空地开发项目,但开发商始终认为,这不足以弥补融资管道被切断所带来的冲击,新房屋建设资金明显承压。
而澳洲的做法,则被认为在“抑制投机”和“补充供应”之间,试图找到一个平衡点。依照当地政策,外国人通常不能买二手房,但可以购买新建住宅或用于开发的空置土地。官方目标很清晰:不推高存量房价格,同时为新增房屋引入资金。
最新数据显示,澳洲的住房开工量确实有所回升,尽管整体建房目标仍面临挑战,但供应端已出现改善迹象。
回到加拿大本身,房市已经和几年前大不相同。
数据显示,2020年外国人持有的住宅比例,在任何一个主要加拿大城市中都不超过5%。疫情期间的房价暴涨,更多发生在短期利率接近零的特殊环境。自从加拿大央行在2022年启动升息周期后,购屋需求明显降温,全国基准房价已从高点回落约18%,成为近年来最明显的一轮房地产调整。
但房价回调,不等于问题解决。
在多伦多、温哥华等核心城市,住房对大量家庭而言仍难以负担。加拿大按揭及房屋公司(CMHC)估算,为满足未来人口和移民需求,到2035年,全国每年需要新建最多48万套住房,几乎是目前建设速度的两倍。
卡尼政府给的目标更直接:到2035年,年建50万套。
现实却并不轻松。过去6个月的数据显示,住房开工成长趋势正在放缓,目前的主要支撑,来自政府推动的出租型住房项目,而非市场自发性投资。
为此,联邦政府成立了新的房屋建设机构加拿大建房局(Build Canada Homes),并投入约130亿加元作为启动资金。该机构负责人曾公开呼吁,透过税制和政策调整,吸引更多长期资本进入房屋建设领域,包括外国投资。
【相关新闻】卡尼政府新机构周日启动 初始投资130亿元建造可负担住房
不过,罗品信对此依然保持谨慎。他表示,现在讨论具体政策仍然太早,政府将根据未来一年住房市场的实际表现,再决定是否以及如何调整外国购屋相关规则。
这位新任住房部长也曾因一句话引发争议——当被问及“房价是否需要下跌”时,他的回答是“不需要”。
他随后解释,自己的意思并非维持高房价,而是反对政府以行政手段强行压低市场价格。他的重点,仍然放在扩大可负担住房和非市场化住房供应。
在他看来,由加拿大建房局推动建设的项目,大多将是回报率极低、周期极长、风险极低的房屋类型,对整体市场价格影响有限。但这类项目,恰恰是加拿大目前最缺乏的部分。
当然,质疑声依然存在。加拿大议会预算官曾估算,该项目在5年内或仅能新增约2.6万套住房,增幅有限。对此,罗品信反驳称,该分析并未充分考虑政府吸引退休金基金和银行等长期资本参与的潜力。
【相关新闻】国会预算报告:联邦住房支出减半至仅能建造2.6万套房屋
在他看来,让这些资金进入可负担住房领域,反而是被低估的机会。
外国购屋禁令是否真的会在2027年后松动,目前仍未有定论。但可以确认的是,这项曾被视为“政治禁区”的政策,已经被正式摆上讨论桌。
对加拿大楼市而言,这未必是立竿见影的利好,却很可能是长期影响深远的转折讯号。
(图:加通社资料图片、卑诗省府资料图片)
V11
存山崩風險!菲沙河谷這選區有兩戶接撤離令
【星岛综合报道】卑诗省菲沙河谷区域官员已下令两处房产的居民立即撤离,理由是该地区存在山崩风险,危及生命安全。
菲沙河谷区域局(Fraser Valley Regional District)于周五下午对芝里华克湖路(Chilliwack Lake Rd) 49269号和49279号发布撤离令,这两处房产均位于“E”选区。
撤离令中写道:“您必须立即离开房产。”
官员表示,房产内的居民应收拾好重要物品,例如药品、钱包和保险单,然后关闭门窗并迅速撤离。
根据撤离令,大门应闩好但不要上锁,宠物应放入笼子或拴上牵引绳带走。
官员表示,如果业主或住户不在家,则应远离房产。如有需要,FortisBC公司将负责关闭天然气。
上周,当地宣布进入紧急状态,并发布了疏散令。当时一股大气河流正在低陆平原地区造成洪水、山崩和其他问题。
(图:菲沙河谷区域局)
V11
溫哥華批准市東區改造方案 單室住戶將變成「有尊嚴」住房
【星岛综合报道】温哥华市政府投票决定大幅调整市中心东区(Downtown Eastside)的住房政策,允许将单室住户(SRO)替换为安全且“有尊严”的住房。
市议会周二投票通过了对市中心东区(DTES)分区和监管工具的更新,标志着在用升级后的社会住房替换SRO的政策发生了转变。
市政府表示,根据先前的规定,其在解决住房条件恶化上的能力有限。但根据新规定,只有提供社会住宅的项目才能获得额外的建筑高度和密度,这些社会住宅可以是100%的社会住宅,也可以是至少包含20%社会住宅单位的租赁住房。
温哥华市长沈观健在一份声明中表示:“我们正在采取不同的做法。”
“长期以来,老旧的单室住户持续恶化,而监管障碍阻碍了可行替代方案的推进。”
沈观健表示,这些改变将为市中心东区带来更体面的未来。
市议会也表示将全力支持“突击队行动”(Task Force Barrage),因为一个新的警区将负责监管市中心东区。
【相关新闻】温哥华宣布投500万元大派警力打击东区有组织犯罪
【相关新闻】温市华埠社会屋被外来犯罪网络占为据点 警搜出数十万元毒品
第5警区的成立于9月宣布,当时沈观健声称,在突击队成立7个月后,该市的暴力犯罪率创下了23年来的新低。
“突击队行动只是个开始。”沈观健当时说:“市中心东区不可能一夜之间发生翻天覆地的变化,单靠执法也无法解决问题。真正的改变意味着从应急转向长期重建。”
(图:加通社资料图片)
V11
卑詩省報告:投機空置稅釋出更多住宅 申報豁免單位增近20萬個
【星岛讯】据卑诗省府向实施该税项的社区市长提交的年度报告显示,投机空置税持续协助释出更多长期可用的住宅物业。报告结果反映出业主正采取不一样的行动,例如自住、出租或放售其空置物业。
财政厅长贝雅丽 (Brenda Bailey,下图中) 说:“让房屋更可负担是我们政府的首要任务,而这份报告亦显示,我们的政策,例如投机空置税,正在发挥作用。我们不能将卑诗省的楼市开放予投机炒卖。投机税正使更多房屋单位能供给卑诗省居民使用。”
在推出该税的第7年,超过99%居住在卑诗省的业主无须缴纳此税。业主将物业用作主要居所,或由租户入住的申报豁免住宅单位增加了近20万个,主要因为该税于2024年扩展至13个新社区。
【相关新闻】卑诗明年上调投机空置税 坊间质疑:有必要吗?
【相关新闻】卑诗投机空置税2023年斩获7520万元 明年起扩展至59城镇
在卑诗省资助更多房屋项目
投机空置税的税收直接用于实施该税项地区的可负担房屋计划。2024年,该税税收为7,960万元,而自推出以来,总额累计则达5.5亿元。在2024-25财政年度,省府向投机空置税指定地区的房屋项目,投资了共19亿元。
2026年的变更
省府每年评估投机空置税,以确保该税项能有效地服务社区,并释出更多房屋供卑诗省居民使用。在实施该税的第7年,2026年将有以下变更:
正如《2025财政预算案》(Budget 2025) 所宣布,海外业主及未在加拿大申报大部分收入的业主,其税率将由2%提高至3%,自2026课税年度起生效。这是根据一项独立建议,透过上调税率,以进一步促使业主使用、出租或出售空置住宅物业。
加拿大公民及永久居民如持有空置或未充分使用的住宅物业,其税率将由0.5%上调至1%
卑诗省居民的税务抵免额将由2,000元提高至4,000元。投机空置税的税务抵免适用于未符合逾20项税务豁免条件的纳税人。
2025年,卑诗省的空置率大幅增加,包括在已实施投机空置税的社区,如基隆拿(Kelowna)、芝里华克(Chilliwack)、温哥华、维多利亚及阿波斯福─米逊 (Abbotsford-Mission)。Rentals.ca近期的报告显示,卑诗省的租金正持续下降,尤其在该税项适用的地区,如新西敏(二埠)、温哥华及素里,降幅更为显著。
省府表示,随着加拿大结束联邦“未充分使用房屋税”(Underused Housing Tax),卑诗省继续遏止投机行为,协助居民获得理想居所,显得尤为重要。投机空置税是卑诗省《人人乐居》(Homes for People) 计划的一部分,以确保更多人能在自己生活和工作的社区找到能负担的居所。
(图:加通社资料图片、省府资料图片)
V02
新建公寓成交量繼續疲軟 11月大多區售出165個單位多市中心僅18宗成交
【星岛综合报道】最新报告显示,11月全大多区仅售出165个新建共管公寓(condo)单位,其中旧多伦多市(包括市中心)更只有18个成交。发展商团体预计,2025年全年新屋总销量或仅达5,500个,料为自1981年有纪录以来最差一年。业界更预料大多区新盘销情将疲弱延续至2026年。
相关新闻:多市三房预售公寓蚀30万转让 代理称蚀让已成常态
Altus Group代表建筑业及土地发展协会(Building Industry and Land Development Association,BILD)发布的报告指出,大多区新屋市场全年表现低迷:11月新建独立屋等低密度住宅(single-family homes)销量较同样低迷的2024年再跌38%,新建共管公寓销量则下滑55%。
Altus数据显示,今年1月至11月,大多区共售出3,067个新建独立屋单位,较2021年的13,216个大幅减少;同期新建共管公寓仅1,965个成交,较2021年逾3万个显著下跌。
BILD营运总监Justin Sherwood表示,业界对12月反弹亦不抱太大期望。“我们预测2025年全年总销量将落在约5,500个单位的水平,将成为自1981年开始纪录以来最差的一年。”
价格方面,报告指出,大多区新建独立屋基准价11月按年下跌9%,现约140万加元;新建共管公寓基准价则微升0.5%,至102.2万加元。
报道按全国常用标准推算,若以住房开支不应超过家庭税前收入30%计,并假设首期两成(逾20.4万加元)及按揭利率5.25%,要负担上述价位的新建共管公寓,家庭年收入至少需达19.5万加元,且未计共管管理费等相关支出。
Edward Jegg 在随最新数据发布的新闻稿中指出,负担能力仍是大多区新屋销售的主要障碍。不过Sherwood反驳称,发展商难以简单下调价格,尤其是已动工项目,因土地、材料及人工等成本持续上升且缺乏调整空间。“这些成本是固定的。”他又称,高层共管公寓在成本控制方面尤受限制;相较之下,低密度住宅的发展商在产品类型及单位面积上更具弹性,可作较多调整。
BILD近月呼吁政府推出更进取政策,以降低发展成本。Sherwood 重申,协会要求对所有购买新建住宅的买家提供“全额豁免”统一销售税(HST)。
报告亦列出各区销情:荷顿区11月仅售出5个新建共管公寓,远低于2023年11月的98个及2024年11月的60个;约克区共管公寓表现较佳,11月售出82个新单位,较一年前的27个上升,但其独立屋销量则由157个跌至85个。皮尔区方面,Altus数据显示新建独立屋11月销情为两年来较佳,售出125个,较2024年同月的100个及2023年的49个为高;新建共管公寓亦按年微增,由一年前19个升至25个。
Sherwood 向《星报》表示,皮尔区上月逾半新建独立屋成交,来自同一项目,属约1,300平方呎的“背靠背”镇屋,并以较“进取的价位”推出。他预期,整体而言,大多区新建独立屋市场将较新建共管公寓市场更早回稳,原因在于前者产品调整弹性较大。
回顾2025年,Sherwood指今年有“创纪录数量”的新单位推出市场,并预期趋势将延续至2026年,因不少在较有利开发条件下开工的项目将迎来“非常高的落成量”。惟随销量回落,新项目正被搁置,他预计供应减少的后果或自2027年起逐步浮现。他强调,要令市场出现明显起色,仍需“相当大胆”的政策措施,以降低推售单位成本。
(图:星报)T15
多市三房預售公寓蝕30萬轉讓 代理稱蝕讓已成常態
【星岛综合报道】多伦多市中心一个三房共管公寓近日在“转让盘”(assignment sale)市场放售,叫价较原购入价低逾30万加元。负责放盘的地产代理表示,类似个案在市内已屡见不鲜,反映预售楼市场持续受压。
该单位是位于国会街(Parliament Street)与前街(Front Street)交界的“The Goode”共管公寓(Condo),面积约935平方呎,目前在转让市场放售。放盘资料显示,业主愿意承受约30万加元损失,并邀请买家出价。负责该盘的Re/Max Plus City Team地产代理Jeff Carr指出,这类情况并非个别例子。“这种事正在全市发生。我认为这位卖家是少数对实际成交价较为现实的业主,很多人只是下调一成或一成半,寄望奇蹟出现,但你不可能蒙骗买家。”
该单位原于预售阶段以115.39万加元购入,已支付约17.3万加元订金,位于蒸馏区(Distillery District)一幢32层高住宅大厦内。Carr于12月初在 Facebook 群组“GTA/ONTARIO ASSIGNMENT SALES”刊登放盘,他表示,业主不愿就事件受访,形容情况相当艰难。
近年随着利率上升及供应增加,不少买家出现融资缺口,无法完成交易,转让市场亦因此受挫,令业主即使减价亦难以覆蓋原购价,甚至无法成功出售。在市况较佳时,投资者常于楼盘落成前购入单位,期望透过转让合约获利,毋须正式交楼。然而,目前即使业主愿意放弃数十万元订金,仍难以找到承接买家。
多伦多 Forest Hill Real Estate Inc. 地产代理Grace Chan对此深有体会。她表示,自己于2021年以63.5万加元购入一个位于 Leaside 的439平方呎开放式一房预售单位,将于明年初交楼,现正面对沉重压力。她指出,利率上升,加上离婚及受伤等个人因素,令她难以符合按揭资格。“现在的买家只想捡便宜,甚至想看到卖家‘流血’。我能卖到40万已经算幸运。”地产代理Chan表示,区内不少家庭正受影响,即使并非投资者,亦需家人协助以避免违约。
地产代理Jeff Carr形容,目前市面上“有成百上千个转让盘,几乎每一个买家都准备随时放弃”。他指出,许多单位是在2022年初楼市高峰期售出,而现时市价已显著回落。
根据多伦多地区地产局(TRREB)11月数据,现时楼价较2022年2月高位下跌约17%。此外,地产研究公司Urbanation指出,高峰期预售共管公寓价格较新落成单位高出约四成,原本市场预期落成后价格会进一步上升。在转让交易中,买家仍须按原合约价格承担责任,但银行现时估值往往较低,若按揭不足,差额需由买家自行补上;若选择弃约,不仅损失订金,亦可能面临发展商诉讼。
该国会街个案显示,即使面积较大的单位亦难以幸免。不过,市场上大量供应的细单位,仍被视为重灾区,因不少自住买家倾向选择空间较大的户型。
地产代理Jeff...
大溫第四!蘭里獲聯邦撥款2500萬元新建1600座位表演廳
【星岛综合报道】联邦政府上月宣布,兰里区(Township of Langley)将获得2,500万元的拨款,用于建造一座可容纳1,600人的新音乐厅和演艺厅。这将透过对兰里活动中心(Langley Events Centre,下图)进行大规模扩建来实现。
兰里区市长伍德沃德(Eric Woodward)表示:“我们社区的许多成员长期以来一直呼吁建造一座音乐厅和演艺厅。我们非常感谢加拿大政府对兰里未来进行的这项具有变革意义的投资,并帮助我们实现了这一愿景。”
他说:“这个新空间不仅将是一个举办世界级艺术和文化活动的场所,更将是一个社区聚会场所,我们的学生可以自豪地走上高中毕业典礼的舞台,各个年龄段的居民可以聚集在一起,庆祝创造力、成就和社区精神。”
今年秋季早些时候,该市议会还批准了一项100万元的拨款,用于启动该项目的初步设计和技术工作,最终设计和预算将于2026年进行审议。
为了获得联邦拨款以支付该项目的大部分成本,市政府必须最迟在2026年底或2027年初开工。
这笔联邦资金具体来自联邦绿色和包容性社区建筑计划,该计划要求音乐厅和表演厅必须采用净零能耗设计,并具备高标准的能源效率和气候适应能力。
如果兰里活动中心的新音乐厅和演艺厅被设计成传统的专用固定座位剧院(而不是多功能、平地板、可伸缩座位的礼堂),那么它将成为大温哥华地区第四大此类场所,仅次于温哥华市中心的伊丽莎白女王剧院、奥芬剧院(Orpheum Theatre)和温哥华大剧院(The Centre)。
(图:Facebook)
V11
省府於高貴林新增20個臨時冬季庇護宿位
【星岛讯】卑诗省府周三(17日)表示,在三联市面临无家可归的人将很快受惠于下月在高贵林新增的20个临时庇护宿位。
房屋及城镇事务厅长贝丽仪 (Christine Boyle) 说:“为更多无家可归者提供温暖和安全的室内庇护宿位,将大大改善社区状况。我们致力协助弱势人士和社区,在解决无家可归问题上持续取得进展,因此,我们增设这些临时庇护宿位,为无家可归者提供支援。我们将继续与Kwikwetlem第一民族(kʷikʷəƛ̓əm)、高贵林市政府,以及其他地区政府和房屋伙伴合作,共同推动房屋解决方案,维持社区强大。”
新的临时庇护所位于高贵林洛歇公路2601号的səmiq̓ʷəʔelə,原住民语意为“大蓝鹭之地”(Place of the Great Blue Heron),属河景(Riverview)旧址。该地点对Kwikwetlem第一民族别具文化与精神意义。庇护所将于每晚8时至翌日早上8时开放,以确保更多在三联市营地的无家可归者能有过夜的栖身之所。
【相关新闻】卑诗即将进入寒冬 省府呼吁为恶劣天气做好准备
冬季庇护宿位得以增加,有赖Kwikwetlem第一民族、高贵林市政府,以及省府透过卑诗房屋局 (BC Housing) 和当地省议员白芯丽 (Jennifer Blatherwick)、韦群思 (Jodie Wickens) 及葛卢麦 (Rick Glumac)的积极倡导和合作。
这些庇护宿位将由进步房屋协会 (Progressive Housing Society) 和Health Society于2026年1月初至4月暂时营运。期间,各合作伙伴将继续推动更长远的房屋解决方案,例如永久庇护宿位和支援式房屋。
临时庇护所有助减少地区营地,为无家可归者提供支援,尤其在寒冷多雨的冬季。为便利需要入住的人士,将有接驳巴士提供服务,并在三联市设有3个停靠点。
省府透过卑诗房屋局于今个冬季在全省各地近60个社区提供近6,500个庇护宿位。
【相关新闻】卑诗增加今冬避寒庇护宿位 58社区共6486床已启动
截至2025年6月30日,省府已在全省各地建成或正在兴建超过93,600个住宅单位,包括超过9,400个已启用或正在兴建的支援式房屋单位。当中包括三联市地区超过1,400间已启用或正在兴建的单位,其中有80间为支援式房屋单位。此外,三联市地区约有42个庇护宿位。
(图:səmiq̓ʷəʔelə官网/示意图)
V02
【加國樓市】11月住宅成交按年跌逾一成 平均樓價下滑2%
【星岛综合报道】加拿大房地产协会表示,今年11月全国住宅销售量按年下跌超过一成,市场持续放缓。
协会指出,11月全国录得约 3.3万宗住宅成交,较去年同期下跌10.7%;经季节性调整后,成交量较10月亦微跌0.6%。
楼价方面,11月全国实际平均住宅售价约为68万多加元,按年下跌 2%。新放盘住宅数量亦按月减少1.6%。
协会高级经济师表示,部分业主希望在年底前成功出售物业,因而调低叫价;但展望来年,市场需求或有回升空间,原因是央行已发出明确讯号,指现行利率水平已接近理想区间。
(资料图)T15
卑詩及香港名建築師郭敦禮逝世 曾是李嘉誠投資溫哥華重要推手
【星岛综合报道】温哥华著名建筑师和城市规划师郭敦礼(Stanley Kwok),于本月7日去世,享寿98岁。他曾为塑造卑诗省一些最具标志性的城市景观做出巨大贡献。
综合《温哥华太阳报》(Vancouver Sun)与Fete Chinoise报道,郭敦礼于1968年移居加拿大定居温哥华时,已经41岁,但他很快弥补了错失的时间,迅速成为这座城市重建的重要推手之一。
重建世博地重要推手
他曾在1980年代中期担任卑诗体育馆(B.C. Place)总裁,也曾是1986年温哥华世博会的董事会成员,之后又参与了协平世博(Concord Pacific)成功竞标并重建世博地(Expo Lands)的行动。
资深规划师兼已退休开发商盖勒(Michael Geller)说:“如果没有郭先生的参与,李嘉诚不可能赢得那次竞标,”他续说:“当然,后来的故事大家都知道了,因为李嘉诚购买那块地皮的决定不仅促成了福溪(False Creek)北岸的重建,更真正引领了亚洲对温哥华的大量投资。”
80年代,郭敦礼主导温哥华福溪北岸地区的规划和建设工作,也开发了维多利亚内港(Victoria’s inner harbour)的部分区域。
郭先生于12月7日去世时,距离他99岁生日还有一个月。
世博会后,大温哥华地区因大力发展高层柏文,常常引发争议。但郭敦利对这座城市从独栋住宅到摩天大楼的转变毫不后悔。
“为什么要固守过去呢?”他在2023年接受《温哥华太阳报》记者道格·托德(Doug Todd)采访时说道。
为香港设计200多座建筑
郭敦利于1927年1月2日出生于中国上海。
温哥华著名建筑师郑景明(James Cheng)表示,郭敦礼虽然出生在中国历史上最动荡的战乱时期,“然而,他却得以进入当时中国唯一一所英语授课的大学——上海圣约翰大学学习。最终,他获得了建筑学位。他是中国最早获得建筑学位的人之一。”
■ 青少年时期与父亲的合照。
郭敦礼于1949年共产党掌权后,到香港开启职业生涯,成为一名成功的建筑师,设计了200多座建筑,并担任香港建筑师学会会长。
但他担心家人的未来,于1968年移居温哥华。在加拿大,他专注于发展而非建筑设计,以便发挥自己擅长洞察全局的能力。
1968年抵达加拿大后,他的经历与许多新移民相似——四处奔波,寻找机会。而他在香港的成就很快就引起了Grosvenor International公司的注意,他获得了一份工作,开启了在加拿大的职业生涯。其后迅速从专案经理晋升为发展副总裁,最终进入公司董事会。
与李嘉诚相识开启新人生
1984年他被卑诗省社会信用党(Social Credit)政府任命为卑诗体育馆总裁。省府最初设想将福溪北岸的土地分批出售,但1987年社会信用党决定将其作为整体项目出售。
郭敦礼其后与香港亿万富翁李嘉诚相识,并离开政府部门,参与了协平世博的竞标和开发项目。
“他是最佳人选,因为他拥有香港的人脉,”盖勒说。“虽然很多人对发生的一切感到遗憾,但我认为重要的是要记住,在20世纪80年代,我们都感到非常荣幸和兴奋,因为能有像李嘉诚这样地位显赫的人愿意投资我们的城市。”
郭先生曾任卑诗体育馆总裁,他深知世博会场地曾经的工业活动对土壤造成的污染。因此,盖勒表示,郭先生在世博园协议中加入了一个条款,规定“省政府将负责场地修复”,这可能涉及数千万元。
“他非常有创意,为人也很正直,但他非常精明,非常精明,”盖勒说。
重建计划获得国际关注
Concord lands地块上那些高耸纤瘦的塔楼成为了这座城市许多建筑的蓝本。海滨的防波堤亦成为了这座城市的标志性景观。
这项重建计划使他获得了国际关注。
他亦长年担任香港长江实业集团和长江和记实业的董事会成员,并且是阿拉伯联合酋长国杜拜码头(Dubai Marina)的总规划师。
“如果你去杜拜,你会看到一个名为滨海城(Marina City)的开发项目,它几乎完全复制了福溪北岸的景象,甚至连滨水区的阳台栏杆细节都一模一样,”盖勒说。“郭先生在这个计划中也发挥了重要作用。”
郭敦礼的家人并未透露死因。在他身后留下与之相伴35年的妻子Eva Lee Kwok,4名子女:Jing Hun、Joanne、Marianne和Colin,以及7名孙辈和4名曾孙辈。他的两位前妻均已过世。
图:Colin Kwok/Fete Chinoise
V6
【更新│有片】卑詩洪患疏散範圍擴大 一號高速公路水浸路段仍封閉
【星岛综合报道】卑诗省阿波斯福(Abbotsford)部分地区周五(12日)持续遭受洪水侵袭,导致疏散范围扩大、学校停课、一号高速公路重要路段封闭,并引发人们对萨马斯草原(Sumas Prairie)地区农民的担忧。
应急管理及气候准备厅长葛凯莉(Kelly Greene,下图)和地方官员表示,由于洪水仍在该地区蔓延,情况瞬息万变,预计萨马斯地区仍将是受灾中心。
截至周五下午5时55分,一号高速公路仍被洪水淹没。
【相关新闻】洪水越过美边境继续涌入卑诗淹没一号高速公路 这城市学校停课扩大疏散
【相关新闻】卑诗洪水一夕暴涨毁坏桥梁 搜救队漏夜营救孤岛上5人4犬
阿波斯福市警局发言人沃克(Paul Walker)在一段视讯更新中表示,一号高速公路沃特科姆路(Whatcom Road)立交桥以西的所有车道仍然被水淹没,清理工作需要时间。
他说:“过去几个小时里,这里的大部分积水已经消散,并被推向菲沙河。”
他感谢志工、农民和急救人员的努力。他说:“我们正在共同努力,尽快安全地重新开放该地区。”
周四晚间,阿波斯福警方敦促居民遵守道路封闭规定,此前有多人因涉水而被困,需要救援。
沃克讲述了一宗引人注目的救援事件,一名男子绕过沃特科姆路的封闭路段,结果他的车在南平行路(South Parallel Rd)上被淹没。
司机设法从车内脱困,坐在车顶等待救援,消防员最终乘坐救生筏将他救起。
Sgt Walker provides a Friday evening update about today’s progress on our roads. pic.twitter.com/AZwl2KHnYN
— Abbotsford Police...
本拿比支援房屋遭居民大反彈 1.3萬人連署反對 稱明年再戰!
【星岛记者陈仪芬报道】卑诗省政府计划在本拿比 5389 Imperial Street 地址上兴建一栋支援性住房(Supportive Housing)及复合照顾住房(Complex Care Housing)计划,遭到居民强烈反弹,日前在市政府前集会抗议,最终市议会将球丢回省政府,要求省府进行更透明广泛的公众意见征询。
今年最后一次的本拿比市议会于9日举行,开议之前的气氛已很不寻常,因为有近千人到市政厅集会抗议。众人举标语喊口号:坚决反毒、安全第一。
本拿比居民Christian Butzek批评省府和市政府有意借着《第44号法案》(Bill 44)已通过为由,避开公听会程序,可以快速推进“保障性住房”项目,但这些所谓的支援性房屋,最终却成为吸毒者和罪犯的温床,因为居民一定要积极说“不”。
本拿比Burnaby Neighbourhood Watch代表谢国恺表示,他们在11月底发起停止这个房屋项目的签名连署活动,仅2个星期时间已经突破1.3万多人签名支持,很多人也发表了中肯的想法,包括这个位置处于学校、公园、商店的密集区,对社区安全造成隐患。
一万多人发出声音,力量不容小觑,让本拿比市议会不得不严肃看待问题,议会认真讨论此案件。(上图)
本拿比市议会最终表决通过2个结论:第一:本拿比市府已认知市民对此支援房屋计划有所担忧;第二:本拿比市府将会敦促卑诗房屋局进行以公众为主,更广泛、透明及负责的公众意见征询程序,让居民们有更多参与表达意见的机会。
本拿比市议员李灿明(Richard Lee)表示,他反对这个项目,因为“选址非常不合适,现在的支援性房屋的入住条件是所谓的‘低门槛’,如果要照顾需要住房的弱势群体,应该把入住条件定义地更清晰。有毒瘾者需要另外的治疗机构帮助它们。”
本拿比市议员谷园(Alison Gu)则有不同看法。她表示,露宿街头者、经济弱势者需要有住房是不争的事实,本拿比市需要这样的项目。她个人并不认为这个选址不适当,她说:“我们的小学散落在各个社区,任何一个选址可能都会有学校在附近,这个选址距离小学有1.5公里,并不是非常近了。我同意要聆听民意、做好沟通,例如民众担心安全,可以做好更严格的监管,甚至可以在设施附近装设摄像头等,许多措施都可以讨论并施行。”
本拿比市议员王白进强调民意的重要性。“我看到有些人夸大说整栋房屋内都是吸毒者之类的,这只会造成恐慌,没有任何帮助。我赞成让卑诗房屋局做更好的规划、与民众进行更好的沟通、考虑更多的地点选择等,把可以的牌都摊在桌面上来讨论。”
5389 Imperial Street这块土地(上图显示位址) 隶属于本拿比市政府,如果市府不点头,省府也无能为力。
王白进说,市议会通过决议后,市长侯迈豪也当众承诺,在卑诗房屋局完成征询公众意见之前,市府不会与房屋局谈判租地事宜。
王白进强调,如果明年省府正式向市府提出此案,市府也一定会举行公众咨询会,确保民意能透过完整的程序被呈现。
本拿比居民李祺对市议会的决议稍感欣慰,他说:“明年有市选,相信市长和市议员们也不敢轻忽民意。但这个案件还没有解决,明年要继续抗争。”
过去一星期,反对该项目的民众已经连续举办3场抗议活动,除了9号市议会前的抗议外,6日则有市民在本拿比省议员崔保罗(Paul Choi)与康安礼(Anne Kang) 的选区办公室前举牌抗议;12月4日则是在卑诗房屋局本拿比办公室前举行抗议。众人皆施压省府撤回该项目。
一名不愿具名的卑诗省房屋局工作人员向星岛表示,长年以来,全省已设有几百个支援性房屋、共9,000多个单位,但过去几乎都没有出现太大问题和争议,如今的情况的确比较复杂,“例如在某些房屋项目中的入住者造成的吸毒和治安问题等更严重,这可能也与管理不善有关系。但希望民众也不要一昧认定支援性房屋是糟糕的项目,毕竟这对很多弱势者来说是救命草。”
省议员康安礼发声明称,理解居民对社区安全的关注,包括对长者与儿童的保护,希望继续与民众交流沟通,让本拿比成为更安全、更宜居、更具归属感的社区。
省房屋及城镇事务厅长贝丽仪 (Christine Boyle) 则发声明表示:“理解当地居民对社区和邻里环境变化的担忧和恐惧。本拿比的这项支持性及综合护理住房计划远胜于人们在收容所、急症室和不安全的居住环境(例如露营地)之间辗转。”
贝丽仪称,2025年3月10日至11日进行的最新无家可归者统计显示,本拿比至少有205名无家可归者。她说:“关键在于,如果我们不在本社区建造更多支持性及综合护理住房,就意味着会有更多的人露宿街头、公园、商店门前或露营。这对任何人都没有好处,而且会降低我们社区的安全。”
相关新闻:本拿比要设立支援性和综合护理房屋 民众强烈反对
相关新闻:有民众反对本拿比设支援房屋 ...
溫哥華市中心煥然一新 80年前老舊H型木製電杆全數退役
【星岛综合报道】卑诗水电公司(BC Hydro)周五(12日)宣布,经过17年的时间,该公司已完成逐步拆除温哥华市中心小巷和其他街道上老旧过时的架空H型木制电力结构的工程,这些电力基础设施现已被现代化的地下网络所取代。
温哥华电力基础设施的一个显著时代就此终结。
这些木结构设施最早于大约80年前,也就是上世纪50年代安装,包括盖士镇(Gastown)、华埠,以及市中心的其他地区。这些架空基础设施支撑著狭窄巷道内的高压线路和变压器,如今使用这些巷道空间的是窗户、消防通道和其他基础设施。
最明显的变化之一发生在2023年,当时卑诗水电公司的工作人员拆除了耶鲁镇的60多根木制电线杆。
据该公司称,这项工程于2008年启动,施工人员在80个街区逐一进行施工,避开了污水、供水、燃气、电信和公共交通基础设施。
总共拆除了355个H型支架、368根电线杆和346台架空变压器,并代之以一套采用主开环设计的新型地下电力系统。该系统提高了可靠性,降低了人为破坏的风险,并显著减少了电气设备所需的占地面积。此外,它还改善了公共空间和建筑物的可见性。
同时,受影响的现有建筑物中需要改造的配电室也进行了重新设计,以适应新的地下电力连接。
卑诗水电公司行政总裁米塔(Charlotte Mitha)在新闻稿中表示:“该计划旨在让温哥华更安全,并为未来做好准备。”
透过将电力服务移至地下,卑诗水电公司最大限度地减少了安全隐患,实现了电压供应的标准化,减少了设备占地面积,并对数百栋建筑的连接进行了现代化改造,为未来的升级奠定了基础。
卑诗水电公司表示,该项目总成本为1.58亿元,是该公司数百亿加元资本计划的一部分,旨在提升省级电网的韧性、冗余性和容量。
该公司在温哥华市中心的下一个重大项目将是新建西区变电站,这是一座大型地下设施,将建在纳尔逊公园(Nelson Park)下方,提供更大的容量,并取代附近布拉德街(Burrard St)老旧的变电站。
(图:BC Hydro)
V11
16市長促省府廢除高密度住房法 房屋廳長稱不會走回頭路
【星岛综合报道】卑诗省多个市镇组成的联盟呼吁省府废除旨在透过提高住房密度来增加住房供应的法案,但房屋厅长表示,政府不会“走回头路”。
大温都会局(Metro Vancouver)包括素里、本拿比和列治文在内的16位市长表示,该法案忽视了当地的实际情况,提高了住房成本,并且省府没有为必要的基建项目提供财政支持。
他们希望废除两项法案,这两项法案要求市政当局履行住房供应义务,提高先前划为独立式住宅用地的密度,并将交通枢纽指定为高密度住宅区。
【相关新闻】本拿比居民反对住宅“一改多”成丑陋巨屋 市议会急限制建筑规模
【相关新闻】省府施压兰里区增住房密度 市长反弹称应先考量基础设施
然而,房屋厅长贝丽仪(Christine Boyle,图)表示,这些政策“正在产生切实的影响”,省府没有计划对其作出进一步修改。
当被问及省府是否会向市政当局提供更多基础设施资金时,贝丽仪表示,各级政府的资金都“很紧张”,而且省府已经对基础设施进行了“重要投资”,地方政府可以根据自身情况灵活使用这些资金。
贝丽仪表示,她无法就明年的省府预算发表评论,但卑诗省将继续“争取更多联邦基础设施资金”。
(图:加通社资料图片)
V11
【更新】卑詩400戶疏散令未解除1800戶仍警戒 但下周預料還有更多降雨……
位于阿波斯福的一处回收场周四发生水浸的情况。加通社
【星岛综合报道】一股大气河流周四(11日)为卑诗省沿海地区带来了破纪录的降雨,该省的防洪工作仍在继续。
应急管理及气候准备厅长葛凯莉(Kelly Greene,下图)表示,过去48小时对受灾家庭、农民和社区来说“尤其艰难”。她遗憾地表示,降雨过后,救援工作并未结束。
葛凯莉说:“我们尚未摆脱这场紧急情况。预计努克萨克河(Nooksack River)水位今天(周四)仍将持续上涨,我们已做好准备应对未来数日数夜的艰难局面。”
【相关新闻】卑诗应急厅长:情况瞬息万变!洪水导致两条高速公路封闭
她感谢了众多工作人员、邻居以及连夜提供帮助的政府和原住民应急小组,并表示他们的工作将继续进行。
葛凯莉表示,菲沙河谷和奥肯纳根一西米尔卡明(Okanagan-Similkameen)地区仍有约400处房产处于疏散令之下,另有约1800处房产处于疏散警报之下。
“紧急人员正在日以继夜地工作,以确保民众安全。我们正在为已疏散且需要帮助满足基本生活需求的民众提供紧急援助服务。我们定期与高风险社区进行协调通话,并为已疏散的民众和社区提供支持。我们将继续部署防洪物资和设备,例如沙袋和防洪堤坝等物资和设备,以保护牲畜和财产。”
农业及食物厅长布娴妮(Lana Popham)表示,目前有66个饲养牲畜的农场接获疏散令,另有99个农场处于警戒状态。
布娴妮说:“我们从2021年的经验中了解到,这类事件对我们的农业社区造成了重大影响。”但她表示,此次省府准备更加充分,受影响的农民可以获得所需的资源。
她表示,紧急管理专家正在努力帮助农民应对突发紧急情况。
【相关新闻】卑诗洪水一夕暴涨毁坏桥梁 搜救队漏夜营救孤岛上5人4犬
卑诗省河流预报中心主任坎贝尔(Dave Campbell)表示,菲沙河谷周边地区仍处于洪水预警状态,水浸将持续。
坎贝尔解释道:“过去几个小时,我们看到埃弗森(华盛顿州)的水位计达到了峰值,那里也是溢流点。现在当地的水位已开始下降了。考虑到水位上涨和下降所需的时间,这条河可能会在周四全天以及傍晚时分继续漫过河岸,流入加拿大境内。”
“水流需要一段时间才能通过,所以我们预计萨马斯(Sumas)的水位会继续上涨……可能会持续到夜间,甚至明天,之后整个系统的水位才会开始下降。”
他表示,从长远来看,还会有更多降雨。预计另一股大气河流将于周日和周一覆蓋该地区。
“我们会随着对周末天气系统如何运作的了解不断深入,及时发布最新消息。同时,我们也会关注接下来的几天,在天气系统到来之前,我们有多少时间来恢复河流的水质。”
(图:省府视频截图)
V11





























